Notice of Public Hearing
A Hybrid Public Planning Meeting will be held on:
Monday, March 2nd, 2026 at 11:00 a.m.
Residents can attend the meeting in person, or view the meeting livestream by visiting:
Any person may participate in the public meeting and/or make written or oral representation either in support of or in opposition to the proposed consent. Written and Oral submissions may be provided to the Planning and Economic Development Committee at the meeting in person or on the livestream. You must pre-register with the Clerk’s office by email at dleroux@uxbridge.ca , or telephone at 905-852-9181 ext. 228 or mail at the address above on or before 12:00 p.m. (Noon) on Friday, February 27th, 2026. Written Comments should be submitted on or before 12:00 p.m. (Noon) on Friday, February 27th, 2026, and addressed to the clerk.
Why am I receiving this notice? You are receiving this notice because the Township of
Uxbridge has received an application for a consent for the property noted below. As required by
the Planning Act, notice must be provided to property owners within 60 metres of the land to
where the application applies.
Application Details
File Number: LD01/2025
Subject Property Zoned: R1
Owner(s): J. Brooks & S. Brooks
Zoning By-law: 81-19
Location: 4 Jonathan Street, Uxbridge
Purpose of the Application(s)
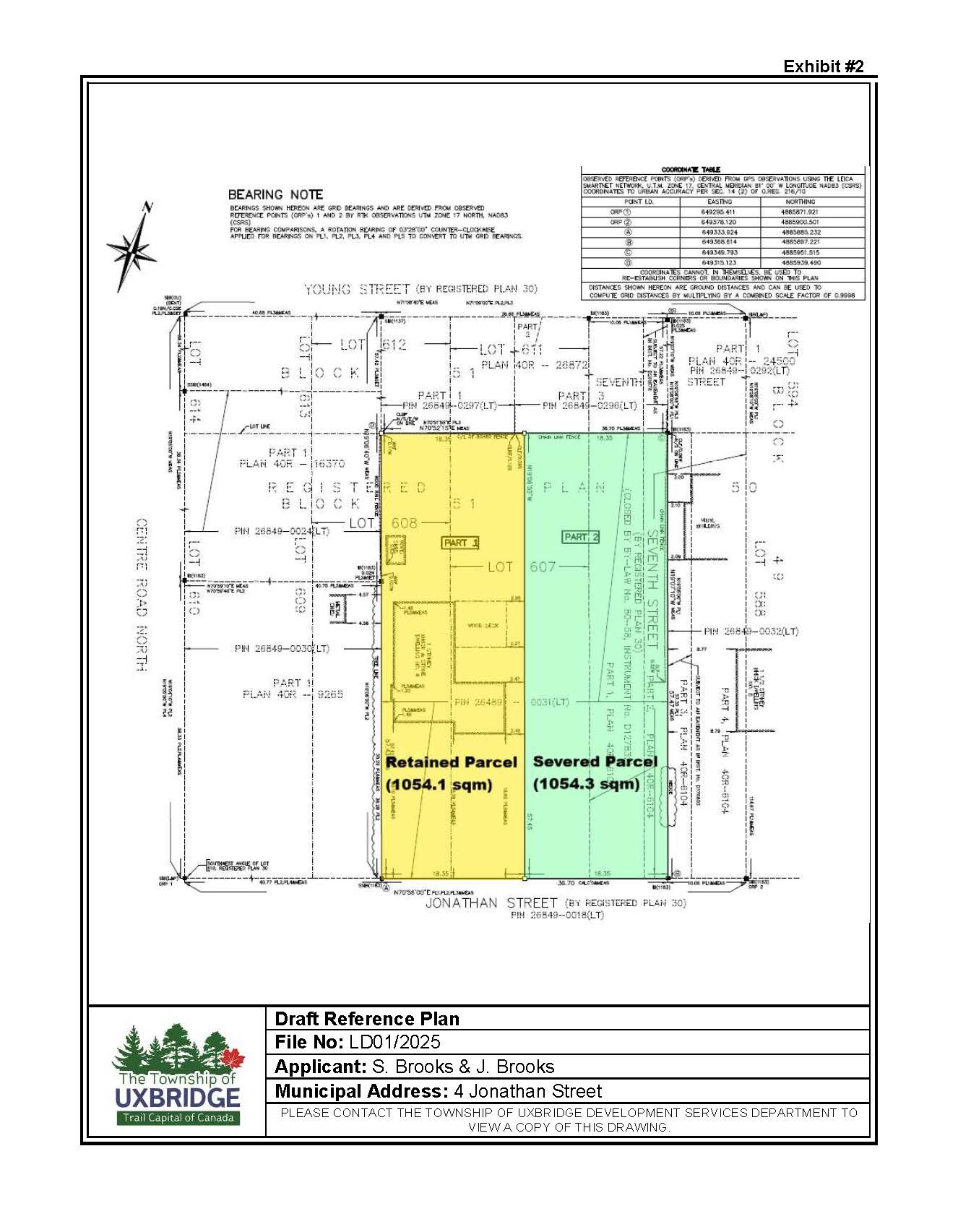
Land Division Application (LD 01/25) has been submitted, proposing the creation of 1 new lot.
The applicant is proposing to sever a 1054.3 square metre parcel of land, with a frontage of
18.35 metres, described as Part 2 on Exhibit 2 to this notice, and retaining a 1054.1 square
metre parcel of land with an 18.35 metre frontage, and described as Part 1. The existing
dwelling is proposed to be retained on Part 1.
Additional Information on the Public Notice
For additional information or clarification on the above notice, please contact Marc Anthony
Miller, 905-852-9181, ext. 234 or mmiller@uxbridge.ca , Development Services Department.
Planning Act Requirements
This Notice is being given in accordance with Planning Act requirements. A final recommendation on the application will not be presented until after the Township Public Meeting and all technical comments have been received. However, the Planning and Economic Development Committee will tentatively make a decision on the application immediately following the public meeting on March 2nd , 2026.
Public Hearing Attendance/Participation
• you or your representative are invited to attend, either in support of the application, opposed
to the application or seeking information on the application
• if attendance is not practical, written comments will be accepted
• if you know of any interested persons who have not received notice, please inform them
• in the case of the applicant, you are hereby advised that you must be present in person or be
represented to present to the Planning and Economic Development Committee
To all persons and agencies making comments
• if this application is acceptable, list any conditions you wish to be considered
• if this application is unacceptable, please list reasons for your objection
• written comment should be directed to the Clerks Department at the above address or email.
Receiving a copy of the Planning and Economic Development Committee’s Decision
• if you wish to be notified of the decision of The Planning and Economic Development
Committee of the Township of Uxbridge in respect of the proposed consent, you must make
a written request to the Clerk’s office by email or phone as noted on the letterhead.
• please make your request in writing to the via email or mail at the address above
• if you wish to submit your written request by mail, please forward your letter to the Township
Clerk at the address noted on the letterhead.
• the applicant and agent on record will receive a copy of the decision by default.
How to Submit an Appeal to the Ontario Land Tribunal (OLT)
• the applicant, the Minister or a specified person or public body (as defined by the Planning
Act) may, within 20 days of the date of the Planning and Economic Development
Committee’s decision, appeal to the OLT
• Section 53(19) of the Planning Act has been amended and now indicates that only the
applicant, the Minister, a specified person, or any public body may appeal this decision.
• submit your Notice of Appeal to the Clerk’s Department and through the Ontario Land
Tribunal's e-file portal.
• a $400 fee will be applicable to appeal a decision and must be provided prior to the expiry of
the twenty (20) day appeal period. For further information on how an appeal fee is collected,
please refer to the e-file portal.
• if a person or public body has the ability to appeal the decision of The Planning and
Economic Development Committee in respect of the proposed consent to the Ontario Land
Tribunal but does not make written submissions to The Planning and Economic Development
Committee before it gives or refuses to give provisional consent, the Tribunal may dismiss
the appeal.


Contact Us